1から見る15へもどる
177.

178.

179.
島の東側にある新城(あらぐすく)海岸へやってきました。
浜の入口にはトイレやシャワーや簡易更衣室(ベニヤの箱)があって、
移動店舗が2店、シュノーケル用品のレンタルや軽食などが売られています。
無料の屋根付き休憩所もあって、実に至れり尽くせりのビーチです。

180.
セナスジベラ 背筋倍良
Thalassoma hardwicke ベラ科ニシキベラ属 駿河湾以南、小笠原諸島、インド洋・中部太平洋域
雌雄であまり模様の変わらない魚です。
早速海に入ってみました。

181.
ネッタイスズメダイ (黄色の) 熱帯雀鯛
Pomacentrus moluccensis スズメダイ科ソラスズメダイ属 琉球列島以南、西部太平洋 水深1~14mの珊瑚礁
保良ビーチに比べると透明度が高く、格段に魚影が濃いです。

182.
トゲチョウチョウウオ 棘蝶蝶魚
Chaetodon auriga チョウチョウウオ科 茨城県以南、インド洋・太平洋域、紅海
昨日のホウライチョウチョウウオとよく似ていますが、
本種の背びれの黒斑は楕円形で、帯状にはなりません。
保良ビーチの海底は石がごろごろしていて海藻が多かったですが、
こちらの海底は白いサンゴの砂で、波打ち際からすぐサンゴ礁が始まっていて、魚の種類も多かったです。
保良ビーチ
183.

184.

185.
ミスジリュウキュウスズメダイ 三筋琉球雀鯛
Dascyllus aruanus スズメダイ科ミスジリュウキュウスズメダイ属 和歌山県以南、インド洋・西部太平洋 礁湖内
枝状サンゴのまわりで群れる習性があります。
186.
めちゃ楽しい・・・

187.
海から撮ったビーチ。
パノラマなのでわかりにくいですが、大体ビーチの幅は800メートルくらいあります。
17へつづくコメントがある方は足跡帳へどうぞ
177. ~ 179.
D90
SIGMA 18-50mm F2.8 EX DC MACRO /HSM
180. ~ 187.
Optio W60
投稿 2012/09/01
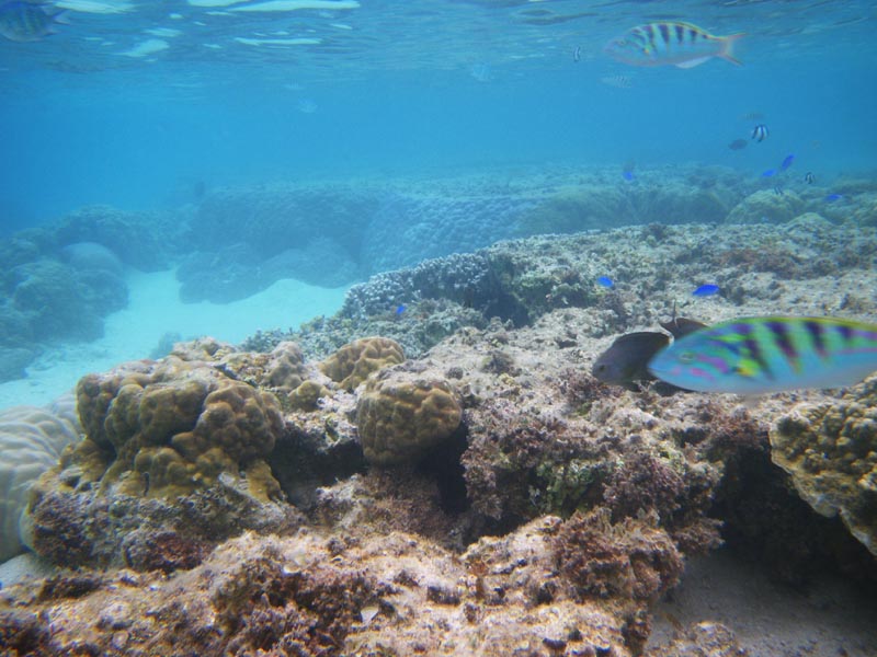
[0回]